Pasar al contenido principal
Importancia Médica
Endémica

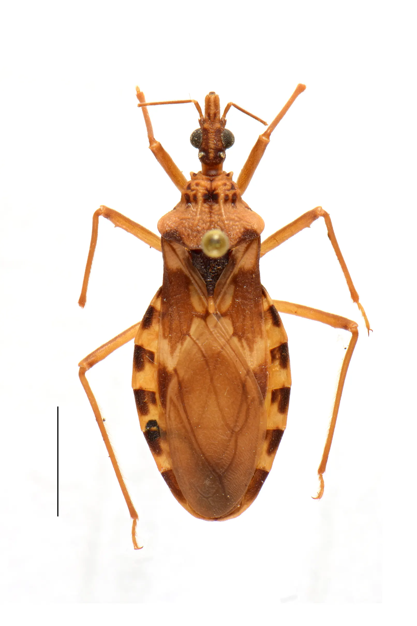
Panstrongylus martinezorum Ayala, 2009


Referencias Bibliográficas

Cazorla-Perfetti, Dalmiro 2016. Revisión de los vectores de la enfermedad de Chagas en Venezuela (Hemiptera-Heteroptera, Reduviidae, Triatominae) SABER, UNIVERSIDAD DE ORIENTE 28 3 387-470 -

Ayala, JM 2009. Una nueva especie de Panstrongylus Berg de Venezuela (Hemiptera: Reduviidae, Triatominae) ENTOMOTROPICA 24 3 105-109 -

Curador responsable